Reklama Patronat Koncert życzeń Kontakt
Słuchaj nas: Kielce 107,9 FM | Busko-Zdrój 91,8 FM | Święty Krzyż 91,3 FM | Włoszczowa 94,4 FM
Tryb Ciemny
eM Radio
WŁĄCZ RADIO
OTWÓRZ NA TELEFONIE
Kod QR
S7 w budowie. Będą utrudnienia!
Dariusz Skrzyniarz
2015 maja 16, 09:02

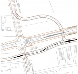
Pamiętamy, że już od kilku tygodni prowadzone są prace budowlane nad trasą S7 na granicy województw mazowieckiego i świętokrzyskiego. Roboty powodują utrudnienia i wymuszają wprowadzenie zmian. Tym razem nastąpi zmiana organizacji ruchu w Szydłowcu w miasteczku tuż przy granicy naszego województwa.

Wprowadzenie zmiany organizacji ruchu w Szydłowcu w związku z budową drogi ekspresowej S7 na odcinku od Radomia do granicy województw mazowieckiego świętokrzyskiego planowane jest w dniu 18 maja 2015 (poniedziałek) w godzinach popołudniowych.

Wykonawca inwestycji przystępuje do kolejnego etapu robót – budowy odcinka drogi S7 w Szydłowcu biegnącego w wykopie oraz nowych obiektów mostowych nad przyszłą drogą ekspresową. W związku z powyższym na odcinku o długości około 2 km znajdującym się między skrzyżowaniami drogi krajowej nr 7 z ulicą Kościuszki w Szydłowcu ruch z istniejącej drogi nr 7 przełożony zostanie na nowo wybudowaną drogę dojazdową biegnącą po zachodniej stronie istniejącej drogi nr 7.

Zmieniona zostanie także organizacja ruchu na dwóch skrzyżowaniach drogi krajowej nr 7 z ulicą Jastrzębską oraz z ulicą Kolejową w Szydłowcu. Istniejące dwa skrzyżowania czerowlotowe zostaną w nowej organizacji ruchu zastąpione przez cztery skrzyżowania trójwlotowe (w miejsce skrzyżowania czterowlotowego dwa sąsiadujące ze sobą trójwlotowe). Na drodze nr 7 wydzielone zostaną w obrębie skrzyżowań dodatkowe pasy dla skręcających w lewo. Dodatkowo wprowadzone zostaną ograniczenia prędkości dla jadących drogą nr 7. - W związku z nową organizacją ruchu apelujemy do kierowców o szczególną ostrożność - mówią drogowcy.

GALERIA

NAJNOWSZE

OSTATNIA AKTUALIZACJA

95
6,16
98
6,76
ON
7,54
LPG
3,79
Kierowca auta elektrycznego pozdrawia kierowców pojazdów spalinowych, płaczcie i płaćcie.
Marek
ORLEN
Żytnia 1A, Kielce

CENY PALIW

SPRAWDŹ CENY AKTUALIZUJ

CZYTAJ DALEJ